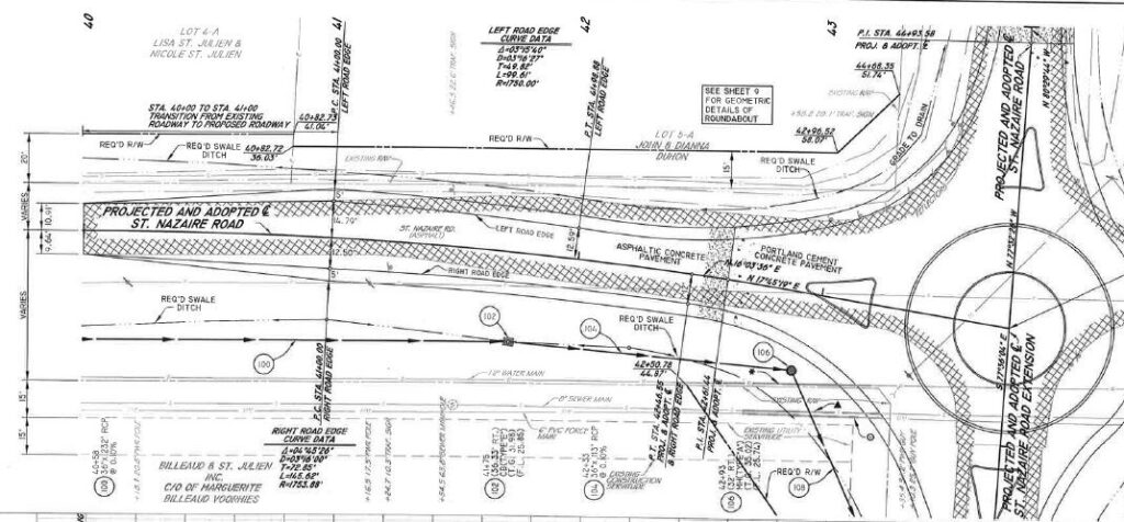
St. Nazaire Road Improvements
DDG provided civil engineering design and preparation of construction plans, specifications, and cost opinions for a three-lane urban roadway with open ditch and sub-surface storm drain systems. Additionally, DDG provided construction administration and field layout calculations. Project was put on hold and has not been constructed.
Services: Civil Engineering, Survey
Roadway and Drainage Improvements
The project consists of the construction of a new three lane concrete road to connect St. Etienne Road to Hwy 90 approximately 1,200 feet in length. This road will be used as an access to a proposed retail development center located between St. Etienne Road and Hwy 90. The project also relocates two drainage ditches that transect the property to the perimeter of the property to facilitate construction of the new retail development center.
Services: Civil Engineering

Broussard Main Street Corridor Master Plan
DDG was proud to work with the City of Broussard and provide professional design services to bring their 2018 Main Street Corridor Master Plan to life. Beginning in early 2019, the City begin its efforts in revitalizing Broussard’s historic downtown by investing capital funds in street improvements, subsurface drainage, on-street parking, sidewalks, a 10’ wide multi-use pedestrian/bike path and associated landscaping and lighting along Main Street from South Bernard to St. Deporres Street in multiple phases.
Services: Landscape Architecture
Main Street Improvements (South Bernard to Clara Street)
DDG prepared an Overlay District Ordinance for the City of Broussard’s Downtown District. The overlay district established unique requirements and guidelines in and around the city. It also helped preserve the Acadiana culture located within existing commercial, retail, and residential areas in lieu of allowing the area to industrialize.
- Phase 1: South Bernard Road to Clara Street - Construction of sub-surface drainage and a 10’ wide multi-use pedestrian/bicycle path paralleling Main Street. Includes construction of an gateway kiosk to the City of Broussard, landscaping, and landscape lighting to highlight the historic live oaks lining the Main Street entrance to the City of Broussard.
- Phase 2: Clara Street to St. Deporres St. – Re-construction of Main Street through downtown Broussard to incorporate sub-surface drainage improvements, extension of the 10’ wide multi-use path from the Phase 1 project, on street parking, sidewalks, and decorative street lighting to re-vitalize the downtown area.
- Phase 3: St. Deporres Street to Alberston’s Parkway - Re-construction of Main Street to include parallel sidewalk and extension of the multi-use path from the downtown area to the Hampton Inn south of Albertson’s Parkway.
Services: Civil Engineering, Survey

Cypress Island / Joe Daigre Coulee Flood Study – (St. Martin Parish Gov’t Project)
The Cypress Island / Joe Daigre Drainage System Maintenance project is aimed to reduce flood risk to residential and commercial properties while increasing recreation and navigable opportunities throughout the Joe Daigre watershed. This is accomplished by implementing various drainage improvements to the Joe Daigre Coulee and its tributaries. The project includes deploying twelve (12) water level loggers throughout the watershed to monitor water surface elevations. The collected water level data is utilized for model calibration efforts, evaluation of hydraulic grades and identifying potential conveyance restrictions. Topobathymetric surveys include bridge and culvert structures and channel cross sections. Drone flights captured aerial imagery and videos throughout the watershed. DDG’s 2D numerical model evaluates existing conditions, post-maintenance conditions and alternative drainage improvements. DDG is providing alternatives analysis, conceptual design, opinion of probable construction costs, and environmental due diligence for proposed drainage improvements.
Services: H+H Modeling, Water Resources, Survey
City of Broussard Overlay
DDG prepared an Overlay District Ordinance for the City of Broussard’s Downtown District. The overlay district established unique requirements and guidelines in and around the city. It also helped preserve the Acadiana culture located within existing commercial, retail, and residential areas in lieu of allowing the area to industrialize.
Services: Civil Engineering
